Property Solutions Real Estate Group Inc.: A2016907

MSL#: A2016907

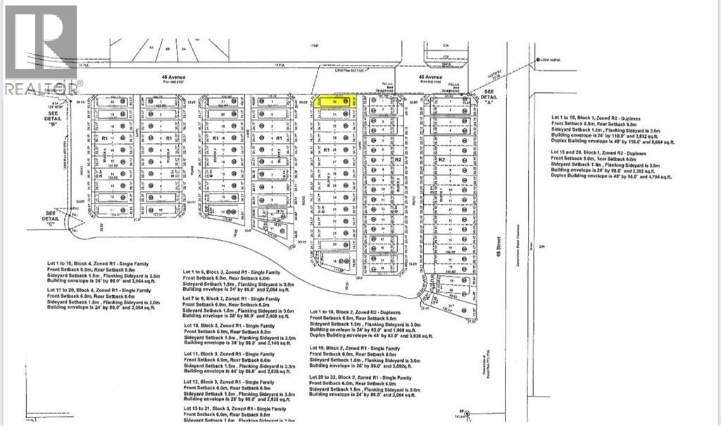
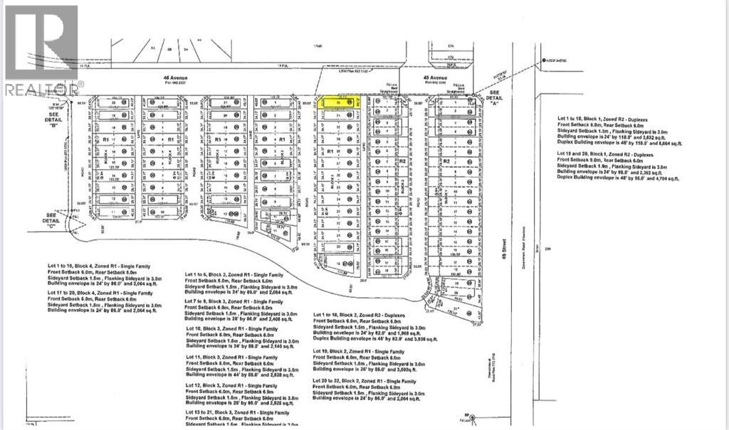
4720 68 Street, Camrose
Alberta
$148600.00

Welcome to West Park’s newest development….Lakeside!!! This development is situated close to shopping and dining. You can access the walking path along the lake and build your own home! Don’t miss out on an amazing opportunity in 2025. (id:7303)

Location map

Contact me about this property:

Get Your Home Seller's Guide